📍 Lissy – environnement résidentiel calme
Vous avez un projet de construction et cherchez un terrain offrant de vraies possibilités ?
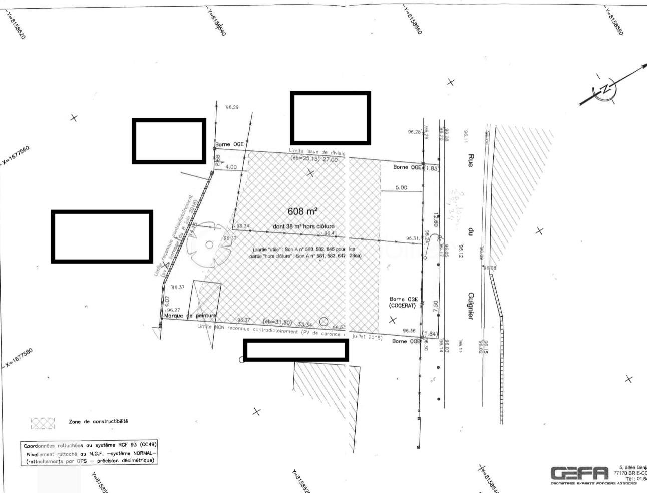
Ce terrain de 608 m² constitue une opportunité rare dans le secteur pour concrétiser une maison sur mesure.
🔑 CARACTÉRISTIQUES PRINCIPALES
Superficie : 608 m²
Terrain à bâtir
Environnement pavillonnaire
Terrain non viabilisé
Zone soumise aux règles de l’Architecte des Bâtiments de France (ABF)
➡️ cadre qualitatif et harmonieux
🏡 PROJET POSSIBLE
Ce terrain permet la réalisation :
- d’une maison individuelle familiale
- d’un projet personnalisé (sous réserve des autorisations d’urbanisme)
- d’un projet accompagné par constructeur ou maître d’œuvre
💡 Idéal pour acquéreurs avec projet réfléchi, souhaitant construire dans un secteur calme tout en restant proche des axes et commodités.
⚠️ IMPORTANT – À SAVOIR
Ce terrain s’adresse :
✔ à des acquéreurs ayant un projet de construction
✔ à des acheteurs accompagnés par un constructeur ou architecte
📞 Contactez-moi pour étudier ensemble la faisabilité de votre projet et organiser une visite sur site.
Cette annonce référence 314069 vous est présentée par votre agent commercial BSK Immobilier ESRA KAYA (EI) immatriculé au RSAC de CRETEIL (94000) sous le numéro 84453120200027.
Prix du bien : 159 000,00 €
Les honoraires d'agence sont à la charge du vendeur.
Les informations sur les risques auxquels ce bien est exposé sont disponibles sur le site Géorisques : www.georisques.gouv.fr